Bauland
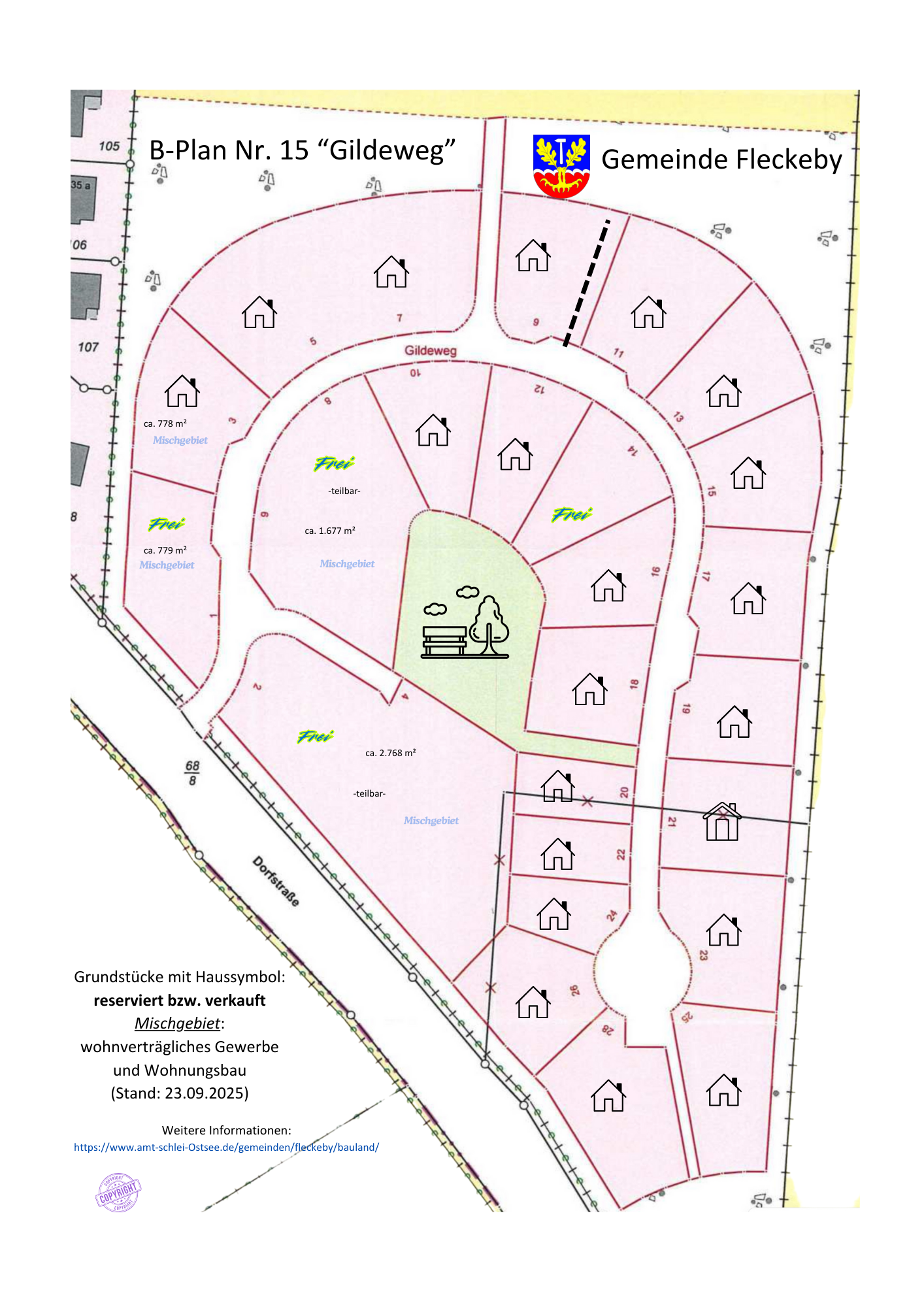
Die Erschließungsarbeiten zum Baugebiet östlich der Krogkoppel sind beendet. Nun beginnt der Hochbau und es sind auch schon ein Großteil der Baugrundstücke verkauft. Bei Interesse an einem Wohngrundstück senden Sie eine kurze E-Mail mit weiteren Kontaktdaten an gemeinde[at]fleckeby.de und erkundigen Sie sich nachdem Stand der Reservierung, der noch freien Grundstücke.
In den nächsten Jahren wird es in Fleckeby kein weiteres Baugebiet geben (können).
Im Mischgebiet stehen derzeit vier Grundstücke für die Ansiedlung von wohnverträglichem Gewerbe zwischen 778 m² und 2.768 m² zur Verfügung. In diesem Bereich ist eine wohnwirtschaftlich Nutzung integrierbar.
Alle Informationen erhalten sie unter gemeinde[at]fleckeby.de oder 0172-6696258 (Bürgermeister)



